Cho thuê cụm xưởng 150.000 m² tại KCN Tân Uyên – 13 xưởng tiêu chuẩn, văn phòng & trạm điện theo yêu cầu
Cần thuê cụm xưởng tiêu chuẩn tại KCN Tân Uyên – Bình Dương? Tổng diện tích lên đến 15 ha, gồm 13 xưởng lớn, văn phòng, trạm điện thiết kế linh hoạt – phù hợp sản xuất quy mô, đặc biệt doanh nghiệp nước ngoài.
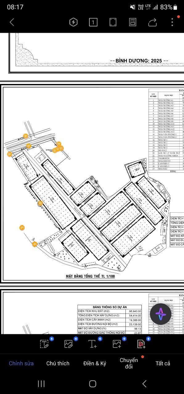
Thông tin chi tiết cụm xưởng
Tổng diện tích đất: 150.000 m² (15 ha – đang xây dựng)
Các xưởng:
- Xưởng 01: 24×120 m = 5.760 m²
- Xưởng 02: 35×70 m = 4.900 m²
- Xưởng 03: 35×70 m = 4.900 m²
- Xưởng 04: 40×125 m = 10.000 m²
- Xưởng 05: 40×125 m = 10.000 m²
- Xưởng 06: 50×125 m = 12.500 m²
- Xưởng 07: 32×140 m = 8.960 m²
- Xưởng 08: 30×100 m = 6.000 m²
- Xưởng 09: 30×80 m = 4.800 m²
- Xưởng 10: 50×160 m = 16.000 m²
- Xưởng 11: 40×125 m = 10.000 m²
- Xưởng 12: 40×75 m = 6.000 m²
- Xưởng 13: 35×40 m = 2.800 m²
Văn phòng & phụ trợ:
- VP 01: 15×20 m = 900 m² (trệt + 2 lầu)
- VP 02: 15×25 m = 1.125 m² (trệt + 2 lầu)
- Nhà ăn + nhà xe + căng-tin (lầu trệt): đầy đủ cơ sở hạ tầng
- Trạm điện: Công suất lớn, thiết kế phù hợp từng doanh nghiệp
- PCCC: Theo tiêu chuẩn khu công nghiệp
- Doanh nghiệp nước ngoài: Được ký hợp đồng thuê, nhưng không hưởng ưu đãi thuế như bên trong KCN
Giá thuê & điều kiện
- Giá thuê: 3.5 USD/m²/tháng
- Hợp đồng: Tối thiểu 5 năm
- Đặt cọc: Liên hệ trao đổi trực tiếp
Vị trí & lợi thế
- Nằm trong KCN Tân Uyên – Bình Dương, kết nối các tuyến đường chính
- Phù hợp mọi ngành nghề trong KCN cho phép
- Xe container, xe tải dễ dàng di chuyển, thuận tiện xuất nhập hàng hóa
Liên hệ tư vấn & đặt lịch thăm quan
Hotline/Zalo: 0366 632 092
Hỗ trợ layout, bản vẽ thiết kế, chuẩn bị pháp lý & thủ tục thuê nhanh chóng.


